はじめに•ご挨拶
ご覧頂きありがとうございます。
中学生の娘と今冬心不全を患った夫と暮らす専業主婦です。
3年前に20年間一緒に暮らした愛猫(三毛猫 女の子)が神様の元へ帰ってしまってから、もう二度と猫と暮らすことはないと思っていました。
去年の夏頃から我が家に遊びに来たりご飯を食べに来ていた猫と仲良くしていましたが、先日動けずに苦しんでいるその猫を見つけたのです。
ーーーーーーーーーーーーーー
2020年6月6日早朝、いつも遊びに来るはずの猫が前日から姿が見えなかった為近所を探しに行った時に、家の近くの田んぼの横を流れる小さな川で下半身がはまって動けなくなっていた猫を発見し保護しました。


衰弱し動けなくなっていただけかと思ってお風呂で身体を洗ってから、ドライヤーを使って身体を温めたりしましたが、お腹辺りから出血していたので、動物病院へ連れて行くことにしました。
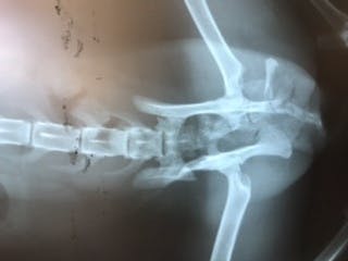
先生は見てすぐに「骨折してる」と仰い、レントゲンを撮ると骨盤が骨折していました。「交通事故だよ」とも仰いました。

また「お腹から折れた骨が飛び出てそれがまたお腹に戻ったんだね。」とも仰いました。
それと1日以上経っていたらしく傷口をハエに卵を産み付けられていました。
駆虫剤を背中に塗って様子をみました。
そしてその日から毎日通院し治療をしています。


そして6月15日に通院の際、先生が傷の状態を見て「あれーっ、これはどうかなぁー」と一言。
そして「しばらく入院してお預かりしますから、ご飯をいっぱい食べて貰って体力付けて行かないと肉が付かないんですよね」と仰っいました。
壊死した皮膚が化膿して筋肉から骨が出てしまった状態になっていました。
可愛かったボブテイルが残念ながら切断をし、尻尾のない姿になってしまうそうです。
このプロジェクトで実現したいこと
骨折しているとは思わず、治療費のことなど何も考えずに病院へ連れて行きましたが、通院や手術代など保険がきく訳ではないので正直どうしよう…と悩みました。
でも、見つけてしまったこと、見て見ぬふりが出来ないこと、そしてこれも運命なのかも…となんとかしてあげたいと思い毎日病院へ通院しています。
そして元気な姿に戻り幸せな一生を送らせてあげたいと思っています。
プロジェクトをやろうと思った理由
今冬突然、夫の心不全により入院と通院、そしてコロナ禍により、収入も減り家計に全くの余裕もなく、恥ずかしながら貯蓄もないため、今回皆様のお力をお借り出来ないものかとプロジェクトを立ち上げました。
資金の使い道
今、壊死してしまった皮膚と化膿している所が広範囲の為、縫合手術はせずに新しい皮膚が下から盛り上がって来るまで毎日皮膚の洗浄をし、点滴や注射をしながら栄養補給をし、皮膚の再生を待ちつつ、今後体力がついてから骨折の手術をするそうです。
現在入院での治療中で、今後通院し、治療費がまだまだかかると思う為、皆様のご支援を頂きたくお願いした次第です。
ご支援頂いた金額は入院費(1日 5,500円)×入院日数(現在入院中)、通院費、初診料1,650円、診察料(1回)825円×通院日数、処置料550円×通院日数、レントゲン検査費4,400円、血液検査費、猫三種混合ワクチン費6,050円、尻尾切除費11, 000円、骨折手術費110, 000円、骨折手術後の入院費(まだ不明)、点滴料(1回)1,100円、注射料(1本)1,100円、内用薬費、療法食代、避妊手術費25,300円にあてさせて頂きます。
リターンについて
感謝の気持ちを込めて、お礼のメールを送らせて頂き、治療の経過報告、活動内容、写真などもメールでお送り致します。
また、手作りではありますが、保護猫の写真を使ったマグネットや、女性用ではありますがバッグチャーム、移動ポケットを送らせて頂きます。
実施スケジュール
現在、入院しながらの治療をし、退院後は化膿している皮膚の状態を見ながら、毎日通院し皮膚の洗浄をし、栄養補給の点滴をしたり化膿止めの注射をし治療します。
残念ながら尻尾がダメになってしまったそうなので、尻尾の切除手術を行い、体力がついて来てから骨盤骨折の手術を行います。
その後避妊手術を行います。
実施中にかかった診察費用、治療費、お薬代など活動報告にて報告して行きます。
最後に
家に来ている時から「ミーコ」と呼んでいたので、このコの名前を「ミーコ」とし、今後このコが交通事故に二度と遭わない為に、我が家の娘として受け入れ、完全室内飼いで愛情いっぱい育てて行きたいと思っています。
どうか、ご支援よろしくお願い申し上げます。
本プロジェクトはAll-in方式で実施します。目標金額に満たない場合も、計画を実行し、リターンをお届けします。
最新の活動報告
もっと見る
手術です
2020/09/03 15:56避妊手術また報告遅くなりましたが、8月20日(木)に以前から予定していた避妊手術を行いました。手術前日の夜7時までに食事をして、それ以降は食べないこと、夜中の12時まではお水を飲んでも良いが、それ以降は飲まない様にと言われました。手術後に何か用意するものがあるか尋ねた所、「特に何もないです。」と言われました。術後服など用意するものだと思っていましたが、エリザベスカラーをつけているので不要だそうです。ミーコを午前中預けて、午後にはお迎えに行きました。無事避妊手術が終わりホッとしています。家に着くと安心したのか、ずっと眠っていました。術後の食事はいつもの半分くらいの量にする様に言われましたが、ミーコは食欲がないらしく、いつもの4分の1程度しか食べませんでした。手術した所に絆創膏が貼ってありましたが、一部剥がれていたので、何気に手術した所を見てみましたが、出血もなく、キレイに縫われていました。次の日病院に行き、先生が縫った所を見ると、「もう剥がしちゃっていいや」と絆創膏を剥がし、「えっ?」と思いましたが、そんなものなのか…と思いました。その日は注射を1本打ちました。次の日にまた通院し、診察してもらいました。そして術後10日過ぎてから抜糸をするそうなので、9月1日(火)に抜糸に行って来ました。その時、お腹の虫が居なくなっているか検査をする予定でしたが、ミーコのウンチが全部スッキリ出てしまっていた様なので、検査が出来ませんでした。後でウンチを病院に持って行き検査をする事になりました。避妊手術が終わり、穏やかに過ごせるのかなぁと思っていた矢先、ミーコがトイレ以外でオシッコをしてしまい、またまた問題勃発。8月の始め頃に、布団でオシッコをして、怒っては逆効果と思い、「トイレはここだよ」と連れて行き教えたのですか、8月30、31日と2日連続で布団でオシッコをしてしまうので、何か原因があるのかと病院に相談した所、ウンチはトイレでして、オシッコも普段はちゃんとトイレでするけど、見ていない時に布団でしていたので、ミーコが「何か訴えたい事があるのか、もしくは膀胱炎の可能性もある」と言われました。膀胱炎の検査もするので、オシッコを採って持って来る様に言われましたが、待っていると中々ミーコはオシッコをしてくれず、ずっと寝ています。どうやってミーコのオシッコを採るか…悩み中です。 もっと見る大事件発生!
2020/09/03 14:21報告が遅くなりましたが、8月11日(火)の夜11時過ぎ頃、私がお風呂に入っていると娘が、「ミーコがウンチしたらお尻から何か出てるの!ウンチした後下痢になって、その後お尻から何か出てて引きずってるの!」と慌てた様子。急いでお風呂から出ると、ミーコが動き回った所がウンチまみれになり、ミーコのお尻から白っぽい様なクリーム色の様な細長い何かが何本も出ていてビックリ!!「腸⁉︎」まさか、腸が出てしまったの?とパニック!!お尻から出ているものを引っ張って良いものかどうして良いか分からず、家族でパニックになり、ネットで調べた所、どうやらお腹に寄生する虫らしく、それはそれでまたパニックとなり、夜間診てもらえる所がないか調べて電話をしてみましたが、「本日の受付は終了しました…」とアナウンスが流れるだけで、電話は繋がらず(泣)結局、ミーコをケージに入れてミーコのお尻から寄生虫らしきものが出ているままで次の日まで待つことにして、朝一番でかかりつけの動物病院へ連れて行くことにしました。病院は9時からなので8時半頃行けば一番最初に診てもらえるかな…と思って行ってみたら、なんと6台くらいの車が止まっていて「えーーーーっ、ウソだー」と思わず声に出してしまい、このまま待っていてもダメだと思ったので、ダメ元で病院に電話をした所、「先生はまだ見えてませんが話は伝えておきます。それで折り返し電話します。」と言われ電話を待ちました。9時過ぎてから病院から電話があり、ミーコを預かって貰えることになり、そのままミーコをケージに入れてお願いして来ました。そしてミーコの処置が終わったと病院から連絡があり、結局「マンソン裂頭条虫」と言う寄生虫だったらしいです。カエルやヘビを食べると感染するらしいです。ミーコはお外で暮らしていたコなので、カエルやヘビを捕食していたみたいです。交通事故に遭ったミーコを保護した時、大怪我をしていて正直寄生虫の検査をすることなんて考えていなかったので、後になってこう言うことになってしまいました。そしてミーコは駆虫薬と注射、点滴をしてお家に帰って来ました。その後下痢になることもなく、普段通りに過ごしています。 もっと見るプロジェクト終了
2020/08/11 18:32こちらの活動報告は支援者限定の公開です。






お陰様でプロジェクト達成する事が出来ました。本当にありがとうございました。
プロジェクト達成おめでとうございます。