志賀理和氣神社『鎮守の杜』再建に心からの感謝を
皆様から多大なるご支援をいただき、昨年の第1期で400本の苗木を植樹し、“新たな命”が芽吹き始めました。
昨年の植樹祭の様子はこちらです。
植樹前の様子
植樹後の様子
地元の子どもたちと植樹
第2期目ではさらに森づくりを進め、かつての豊かな生態系と、地域住民が心安らぐ憩いの場を再生したいと考えています。1200年以上の歴史を紡ぐこの地で、新しく生まれ育つ“鎮守の杜”を千年先まで守り続けるために、どうか皆さまの力をお貸しください。

私たちは、令和3年12月の全面移転で失われてしまった森を復活させるべく、3年間で合計1200本(各年400本)の植樹計画を進めています。今年はいよいよ第2期の植樹。昨年植えられた苗木たちは、小さな芽の段階ながらも確かな生命力を宿し、地域の子どもたちや氏子の皆さんの思いとともにすくすくと育ちつつあります。しかし、この森がゆくゆくフクロウやリス、アオハダトンボなど多種多様な生き物たちを呼び戻し、地域の防災機能も担うためには、まだまだ皆さまの温かいご支援が必要です。
どうか私たちと一緒に、新しい“鎮守の杜”の可能性を切り開いていただけませんか。「千年の森」へと続く歩みをぜひ、皆さんと力を合わせて進めていけたらと願っています。
第2期に向けてのメッセージ
志賀理和氣神社 田村寛仁宮司~心のふるさと~
鎮守の森の再生にご関心をお持ち下さりありがとうございます。
志賀理和氣神社宮司の田村です。
移転前の境内には約4,000本の木々が生い茂る豊かな鎮守の杜があり、まさしくこの地域のふるさとでありました。昨年の植樹祭では多くの方々のご支援により、400本の木々が植えられ、少しずつ鎮守の杜再生へと歩みを進めております。
この植樹において我々が希望を抱いておりますのは、森の再生だけではなく、木を植えることで、“人々の心にもふるさとの苗木を植えること”です。生まれ故郷を離れ、新しい地域に移り住むことが当たり前となった現代において、心安らかなる憩いの場「心のふるさと」となる森を皆様と育てて参りたく存じます。
また、生物多様性も森の一つの重要な側面であります。既に、蝶などの虫やキジ、ツグミ、タヌキ、キツネなどの生き物たちがこの小さな森を訪れています。
3期中の第2期となる今回の植樹祭ではさらに400本を植える予定です。前回植樹された木々の生育状況を踏まえた大事な植樹となります。また、植えられた木々は概ね順調に成長しておりますが、手入れ、保守も必要となります。そして、その為には多くの資金が必要となります。
大変恐縮ながら、当神社だけではすべての費用を賄うことがどうしても難しい現状がございます。
1200年の神社の歴史と今を生きる人々の思いを後世に紡ぐ「心のふるさと」となる鎮守の杜再生の為どうか皆様のお力添えをお願い申し上げます。
このプロジェクトを支えるメンバー
志賀理和氣神社宮司 田村寛仁(たむらひろひと)/写真中央
鎮守の杜の守り人 髙橋知明(たかはしともあき)/写真左
林学博士 西野文貴(にしの ふみたか)/写真右
これまで40万本の苗木をボランティアの皆さんと植えてこられた髙橋さん(写真は昨年の植樹祭)
~山火事から考える森づくりの大切さ~
“鎮守の杜の守り人”の一人・神職の髙橋知明(東京・瀬田玉川神社禰宜)です。
【鎮守の杜】の持つ防災機能について、このページ内で紹介していますが、景観だけでなく、人々や動植物たちの命や生活を持続的に守っていける森こそが、この志賀理和氣神社の【鎮守の杜】づくりです。この【鎮守の杜】は、何百年以上循環していく森となり、その間発生する自然災害から神社と境内を守ってくれます。
先日、同じ岩手県の大船渡市で、大規模な山火事が発生しました。改めて被災された皆さまに、心よりお見舞い申し上げます。
私は4月3日に現場を視察し、概ねスギやマツの針葉樹林帯に積もった下草への引火が早く、広範囲に燃え広がった様子を見ました。現在、当協会でも調査を継続していますが、山火事に関するいくつかの論文によると、燃えにくい森林は広葉樹林であるとされています。故に、もちろん地元住民の意向が最優先ですが、今後も経済循環が困難な山、住宅地に近い区域の森は、比較的燃えにくい広葉樹林帯を創ることが適していると当協会では考えています。
山々の全てを志賀理和氣神社の【鎮守の杜】のようにしようということではありません。今後も林業で経済循環させる区域も必要です。大切なことは、自然と人間の活動との持続可能な共生バランスを追求することではないでしょうか。
志賀理和氣神社の森づくりは、そうした大切なメッセージを多くの人々に届ける活動でもあります。
未来を守るこの森づくり活動に対して、皆さまの温かいご支援をお願い申し上げます。
一人ひとり丁寧に植樹指導する西野博士(昨年の植樹祭より)
〜人間の尺度と自然の尺度が織りなす世界〜
林学博士の西野文貴です。
森づくりは人間の都合だけではなく、自然に寄り添って考えなければなりません。私は現在37歳ですが、それに比べると植樹する木々は全て私よりも長生きです。“人間の尺度”と“自然の尺度”ではそれほど大きな違いがあります。それは時間だけではなく、生存戦略、物質循環、相互作用など多岐にわたり、現代の科学でも解明できていないものも多いです。ただし、そんな中でも確かなことがあります。「この世に必要のない生き物などいない、そしてそれぞれが過去を今に紡ぎ未来へと歩み、色んな調和の形を生み出している。」、まさしくその一つの形が【鎮守の杜】だと思います。私が担当する“森の設計”では、その地域に適した樹種を元に、10年先、50年先、100年先、1000年先のことを考えて選定していきます。
今年で2年目の植樹となりますが、まだまだ皆様のご声援とご支援が必要な状況にあります。皆様のおかげで、去年植えた木々は順調に成長しており、植樹時に70cm前後の苗木たちは今年には倍以上の1m50cmくらいまで成長する樹種も出てくると予想しています。しかし、千年の森をつくるには、去年植えた木々のケアや土壌改良、モニタリングなど様々な育樹も必要になってきます。
過去の歴史、先人達の想いを受け、今と向き合い、未来に、次世代に、地球に、自信を持って渡せる【鎮守の杜】を皆様と一緒につくっていきたいと切に願っております。重ね重ねにはなりますが、今年も皆様からの温かく・心強いご声援とご支援をいただければ幸いです。よろしくお願い致します。
心を一つにした植樹祭
志賀理和氣神社|御鎮座1221年
フクロウがいた千年の森、再生への物語
「志賀理和氣神社」は盛岡市から車で40分ほど南下した場所に位置し、岩手県中央部を北から南に流れる一級河川「北上川」の河岸にある岩手県最古といわれる神社です。
創建は古く延暦23年(804年)、征夷大将軍である坂上田村麻呂が、東北地方の開拓の守護神を勧請して創建されました。それ以来、1200年以上に渡ってこの地域の鎮守として崇拝されています。
しかし平成に至り、「神社の移転」を突如迫られました。原因は地球規模での気候変動が、大雨や巨大台風を頻繁にもたらし、北上川でも甚大な水害の恐れがあったからです。そのため、地域住民の安全確保のために、新たな堤防建設が必要となりました。
旧境内の様子
境内の千年杉
北上川を背にして創建された「志賀理和氣神社」と鎮守の杜
長きに亘り神聖な場所に鎮座した神社の移転は誰もが「断腸の想い」ではありましたが、平成30年に国が進める治水事業に協力し、神社は内陸へと全面移転することを決定しました。その結果、令和3年12月に新境内地に遷座されましたが、旧境内の鎮守の杜は移転できず消滅してしまったのです。
更地となった「志賀理和氣神社」
社殿の取り壊しの様子
伐採された千年杉
新境内は、旧境内から直線距離で300メートルほどしか離れていません。しかしそこには、子どもたちの遊び場であり、地域住民の憩いの場であり、神社を大風や大雨などから守ってくれた「鎮守の杜」はもうありません。その喪失感は想像以上に深く、何とか「鎮守の杜」を再生したいのです。
新境内の様子(写真右側に本殿、中央は赤石天満宮、稲荷神社など)
写真から、「鎮守の杜」がないことで「新境内」は「旧境内」と比べてとても寂しい感じで佇んでいるのがお分かりいただけると思います。
地域の憩いの場所であった「鎮守の杜」再生に向けて、神社関係者が何度も話し合い、再建に向けて一致団結することになりました。しかし、それでもかかる費用は予想以上のもので、私たちの力だけではどうしても十分な修復を行うことが叶いません。これからの千年続く「鎮守の杜」再生に向けて、どうぞご支援を賜りたく何卒宜しくお願い致します。
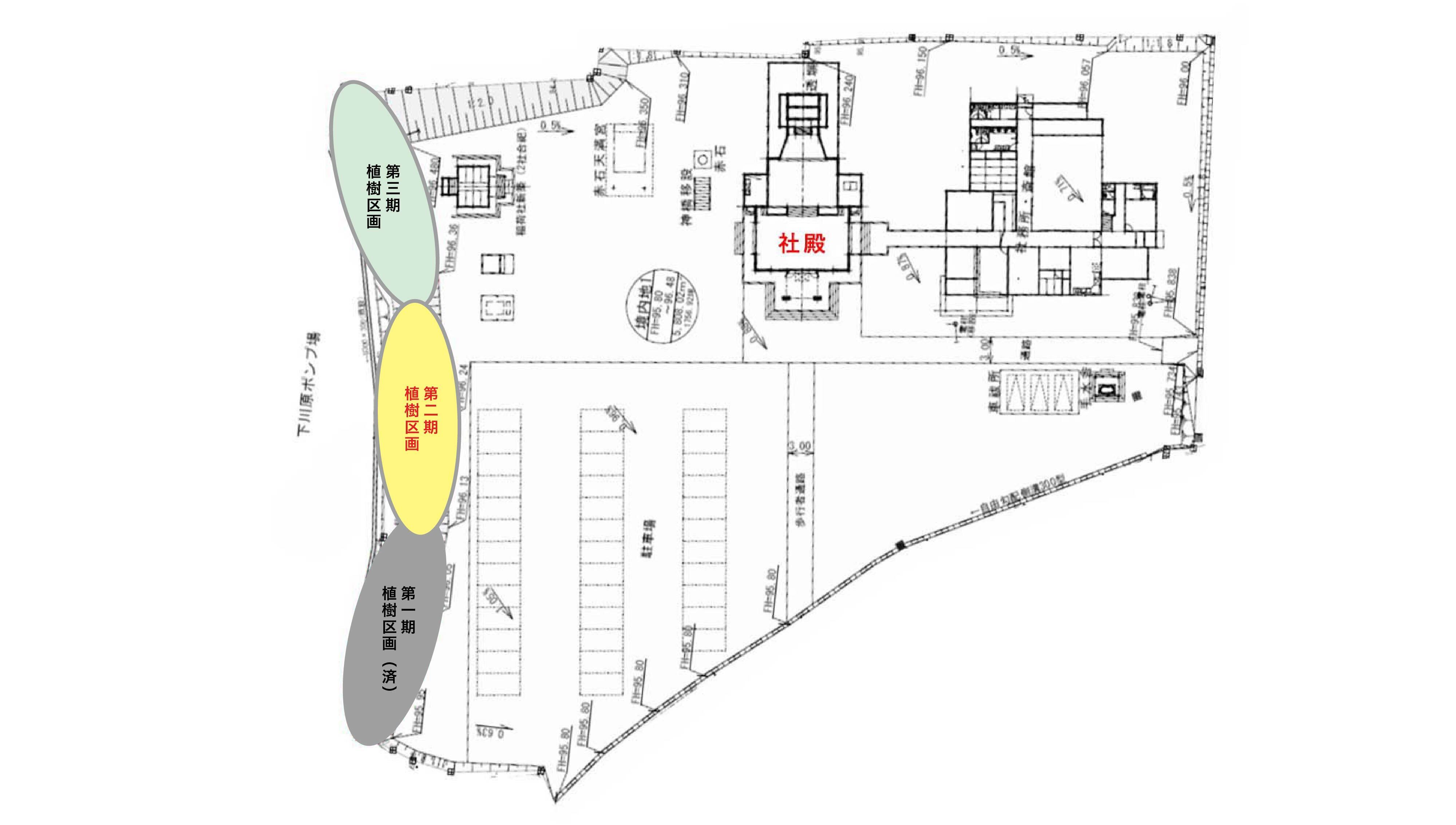
植樹計画図(第1期〜3期)

本プロジェクトでは、令和6年から3カ年計画で合計1200本の広葉樹を中心に植樹し、森の基礎をつくります。
初年度(令和6年)の第1期では、西野博士の『潜在自然植生』に基づく森の設計のもと、計400本を植樹しました。植えた樹種はコナラやケヤキなど20種類以上を植樹し、その大半は落葉広葉樹のため、冬場にいったん葉を落としてしまうため見た目は寂しくなりがちですが、春の新芽を待つ今こそが実は最も重要な時期。現在の段階でおよそ8〜9割が順調に根付いており、一部の樹種では既に芽が大きく膨らんでいます。
『100年後、200年後、さらには1000年先まで続く森を育てる』という、長期的なビジョンのもとで今年(令和7年)の第2期も400本の植樹を予定。苗木たちが共生しあい、地上だけでなく地下で根を張りめぐらせることで、より豊かな生態系をつくっていきたいと考えています。
今回の植樹では、生物多様性の観点をしっかり取り入れます。落葉広葉樹は季節ごとに花や実をつけるため、フクロウやイタチなどの動物、昆虫が集まりやすくなり、そこをきっかけに食物連鎖が復活し始めます。地域の子どもたちが『昔、森で遊んだおじいちゃん・おばあちゃんのように豊かな自然と共存したい』と願う気持ちに応えたい。この2期目の植樹は、その思いをさらに確かなものにする第一歩なのです。

桓武天皇の時代から紫波の地へ
〜志賀理和氣神社 創祀と地域に息づく伝承〜
当神社の歴史は今から1221年前、延暦23年(804年)にまで遡ります。その時代は平安時代と呼ばれ、京都を中心として天皇や貴族による政治や文化が花開いた時代です。現代でも京都から岩手までの移動は相当の時間を要しますが、その当時、京都の人々にとって東北は現在の海外旅行のように遠い遠い場所で、政権も及びませんでした。そして京都の人々は東北に暮らす人々のことを蝦夷(えみし)と呼んでいました。
この時代に「天皇を中心とした統一政権を作る」という旗印の元に、この蝦夷征討の命令を受けたのが、征夷大将軍である坂上田村麻呂です。そして遙か東北の地で、これを迎え撃ったのが蝦夷の若きリーダー・アテルイ。激しい戦いがこの地で繰り広げられたと言われています。
天皇の命令を受けた坂上田村麻呂も負ける訳にはいきません。
東北地方の征圧のために、「武運長久」、「必勝祈願」のご利益のある二柱の神様、経津主神(ふつぬしのかみ)と武甕槌神(たけみかづちのかみ)を香取神宮、鹿島神宮より勧請し、必勝祈願のために設立されたのが当神社の創祀と言われています。
当神社の神々のご加護もあり、坂上田村麻呂は蝦夷を平定することに成功します。後に、当神社には大己貴神(おおなむちのかみ)や少彦名神(すくなびこなのかみ)など人々の生活を豊かにする国づくりの神様が勧請され、この地域の繁栄と守護の役割を千年以上担っていくことになります。
そして時代は室町時代になります。この地域の領主であった斯波詮直公(しばあきなおこう)は北上川の川底にあった「赤石」が川面に映り、川波が紫色に輝いて見えた様子にとても感動して「けふよりは 紫波と名付けん この川の 石にうつ波 紫に似て」と詠じて、この地を「紫波(しわ)」と定め、このことから町名も「紫波町」と名付けられています。北上川から引き揚げられた「赤石」は当神社に祀られており、地域の方からは「赤石さん」として親しまれています。

さらに時代は下り江戸時代に差し掛かりますと、盛岡藩主の南部氏は当神社を厚く崇敬され「南部一の宮」の号が献じられるほど、とても重要な神社として位置付けられました。
また近年では、恒例の祭りに加えどんと祭での餅焼きや節分祭での豆まき、人形納謝祭への参列と奉仕、例大祭での餅まきなど子供たちが参加できるお祭りを増やし、若い世代との関わりも深めています。
創建以来1200年以上に亘って、志賀理和氣神社と「鎮守の杜」は地域の子供たちの遊び場であり、地域住民の憩いの場所として、ずっと親しまれてきました。
どんと祭
例大祭(秋祭り)
なぜ、神社に鎮守の杜が必要なのか?
「鎮守の杜」という名前の由来にはその歴史的な背景があります。「鎮守」とはその地域を守ってくださる神々のこと。そして、その神々を守る森が「鎮守の杜」。ここは神々が降りたち、鎮まる場所だと、私たちのご先祖様は考えてきました。
だからこそ、日本人はこの場所に特別な神聖さを感じ、神様に感謝の気持ちを捧げ、この土地での生活の安寧を祈りました。「鎮守の杜」は常に多くの生命が循環していて、瑞々しさ、青々しさを保つことで、神々が降り立つ清浄な空間を生んでいます。
そのため人々は、場所によっては森が荒れないように間伐したり、弱った木を切るなど、協力して森の手入れをして、森を育ててきました。手入れの結果、「鎮守の杜」から出た材木や薪は、お祭りに使われたり、時には社殿などを建て替える際に「鎮守の杜」から出た材木で賄うこともあり、森の資源を無駄にせず有効活用してきました。
このように日本人は「森を守り、育てていく仕組み」をずっと大切に継承してきたのです。「鎮守の杜」とは、日本人の自然観や文化そのものと言っても過言ではありません。
そして、この「鎮守の杜」は太古の昔からの原生林を今に残す場所も多くあり、貴重な在来の動植物がたくさん生息する「生命の宝庫」でもあります。
旧境内の鎮守の杜
鎮守の杜の生き物たち


ノスリも棲んでいた
「もののけ姫」というジブリ作品をご覧になった方は、木々が生い茂った深い森の中にたくさんの動植物たちがいた事をご記憶の方も多いでしょう。実際に、志賀理和氣神社の旧境内には梟(フクロウ)だけではなく、狐の鳴き声もしたり、夏にはアオハダトンボがあたり一面に飛び回っていました。
このような自然豊かな美しい森は、多種多様な在来の貴重な生物たちが棲家としています。
古代から、日本人はこの「鎮守の杜」と共に生き、人と自然が調和する、共存する知恵を学んで来ました。
御神木の切り株から無傷で発見されたフクロウのたまご
しかし、現代は人間が森と上手な付き合いをしていく生活から距離が空いてしまったことから、昔の日本人が大切にしてきた森との共存の知恵を忘却してしまったかのようにも感じます。
私たちが忘れかけている「人と森との上手な付き合いのある生活」
戦前の日本の山々には、「奥山」と「里山」という区域が存在しました。奥山は手つかずの原生林。多種多様な在来の動植物が生育し、水源を守り、山の保水力を高めるなどの機能がありました。それに対して里山は、材木を育てたり、キノコを採ったり、炭を焼いたりと、人間の生活に必要最低限な恵みをいただき循環させる区域でした。
そしてこの奥山と里山の境界には、しばしば神社や祠が存在し「その先は侵すべからず」という戒めがありました。奥山は神々の聖域であり、戒めを無視するとばちが当たって自然のしっぺ返しがあるという、まさに先人の智慧がありました。

ところが戦争で全国が焼け野原になり、戦後復興のため拡大造林という国策で致し方なく奥山も里山化し、日本の山々は概ね林業の山になりました。その後、昭和40年代から外材が輸入され、国産材は徐々に売れなくなり、昭和50年代から一時隆盛を誇ったたくさんの材木店が倒産しました。現在の林業は、従事者が高齢化し後継者不足に悩む状態です。
林業が経済循環しにくくなった現在の日本の山々には、他にも課題があります。熊をはじめ野生動物たちが、危険を冒して里に下りて畑などを荒らすのは、山にどんぐりなどの彼らの食べ物が少なく、越冬や子育てをするのに、充分に栄養が摂れないためということも一因と考えられます。他にも、針葉樹の単層林から出る大量の花粉は、現代病の花粉症を生み多くの人々を悩ませています。
さらには気候変動の影響からか、毎年のように巨大台風が襲う時代になりました。特に西日本を中心に河川の氾濫など大変な被害が出ています。降水量が多くなった上、針葉樹は根が浅く保水力も低い単層林の山は、山津波とも言える土砂崩れを起こし、下流の河川では堤防を越える洪水被害も発生させています。
台風により崩れた針葉樹の単層林(撮影:西野文貴)
後継者不足により荒れてしまった林業区域
だからこそ、奥山を形成してきた「鎮守の杜」は私たち日本人にとって大切な存在であり、奥山と里山との上手なバランスを回復しないと、こうした課題は解決しないのではないでしょうか。
「鎮守の杜」は動植物と人間が調和して、自然と共存した素晴らしいお手本そのものです。この森を通じて、私たちは自分以外の他者との関係を大切にする「和の心」も育ててきました。
志賀理和氣神社は1200年以上も「鎮守の杜」を守り、地域の平和と安寧のために、神々に祈りを捧げてきました。神道における神とは、私たちの命を保証してくださる対象でもあります。だからこそ、この土地にある雄大な自然だけでなく、人々の生活を豊かにした偉大な人物なども神と崇め、神社にお祀りすることもあります。
神々がもたらした稲穂によって、人々はその地で安定的に定住できるようになり、命そのものが保証されました。稲作に関する祭りが全国の神社において古来から続けられてきたのも、その理由からです。
「鎮守の杜」がある神社の境内で、神々の恵みである獲れたての魚や新米を神々に捧げ、その年も豊かに生活できたことに感謝する祭りは、楽しく賑やかなものでした。
例大祭・音頭奉納
そして、その祭りは志賀理和氣神社固有の文化となりました。この地域の人たちにとって、「祭り」と「鎮守の杜」は、他の何にも代えがたい大切な伝統文化となっているのです。このように、紫波町の地域の方々が1200年以上守り続け、愛し続けた「鎮守の杜」を復興するために、お力添えいただければ嬉しく思います。
目的は太古から続く自然の森を作ること
西野林学博士による森づくりは、その土地に本来あるべき「自然な森」を復元することを目的としています。そのため、よく目にするスギやヒノキのような木材生産を目的とした人工林ではなく、その地域に適した樹種を選んで植えています。植物が地表面を覆っている状態を「植生」と呼び、森づくりを行う際に私たちの専門用語で「潜在自然植生」という概念を用います。
ふるさとの樹種を説明する西野博士(昨年の植樹祭より)
これはある地域において人間の手が加わらない自然状態に戻った時に、将来想定される植生(今回は森林)を指しています。「潜在自然植生」を読み解くためには、現在の森を調査したり、過去の植生調査報告書や地形図などを参考にし、もしその土地が人間の活動を受けなければ、将来どんな森になるか想定します。
その土地に本来あるべき「自然な森」の例(北海道)
木材生産を目的としたスギやヒノキの「人工林」の例(日本全国的に見られる森)
日本は気候に恵まれており、放っておけば300年ほどで森ができると言われています。
しかし、現在では鹿が増えすぎているので、元の自然が壊れすぎてしまい、結果的に自然治癒能力が低いので、何年かかっても自然の森に戻らないことも考えられます。そこで植樹が必要になってきます。幸いなことに志賀理和氣神社の周辺には鹿が多くないので、植樹した後に強固な鹿柵を作る必要はないということです。
日本の裸地から森ができるまでの植生遷移(乾性)
フクロウは本当に戻ってくるのか
旧境内の鎮守の森の中には「フクロウ」がいました。この土地の本来の植生に戻すことで、本来の生態系が復活して、元々いた動物や微生物が戻ってくる可能性があります。なぜなら、植物は生態系において「生産者」としての役割を果たし、その存在が食物連鎖の基盤を形成するからです。特に、フクロウが再びこの地に営巣したら本当に素晴らしいことです。
「食物連鎖図」引用元(https://www.pref.osaka.lg.jp/midori/midori/seibututayousei.html)
神社周辺の植生は?
この地域は東北地方の内陸部に位置し、その気候や地形の特性から、コナラやケヤキなどの落葉広葉樹が主に自生しています。
潜在自然植生から編集/引用(日本植生誌 東北 至文堂)
エゾエノキ−ケヤキ群集/引用(日本植物群落図説 至文堂)
ハシドイ−ヤチダモ群集 引用(日本植物群落図説 至文堂)
西野博士は、過去の植生調査報告書や地形図などを参考にしながら、この地域に元々あった、または将来自然に成立するであろう「潜在自然植生」を推定して、この地域に最適な“森の設計図”を作成し、オーダーメイドで森づくりを進めます。
『自然を壊すのは簡単ですが、自然をもう一度復元するのはとても大変なことなのです。志賀理和氣神社の鎮守の杜の復興を通じて、たくさんの人にその事を知っていただきたいですし、そしてそれは自然だけに限ったことではなく、日本の文化・歴史・伝統も一度壊してしまえば戻すのは本当に難しい事にも気づいてほしいです。』と西野博士は植樹祭の参加者にも伝えていました。
つまり、今回のプロジェクトは、「フクロウのいた森」を復元するだけでなく、日本の文化、歴史、伝統を守り、次世代に継承していくこともふまえて大切な取り組みだといえます。
私たちの最終目標は自然と共生する日本を作ることです。ぜひ志賀理和氣神社の境内にも消滅したフクロウがいた森を復活させ、千年先の未来まで繋いで行きましょう。

プロジェクトメンバーの紹介
このプロジェクトは下記のメンバーで構成されています。すでにページ上でご紹介させていただいた方も含めてあらためてご紹介させていただきます。
志賀理和氣神社宮司 田村寛仁(たむらひろひと)
志賀理和氣神社の宮司。昭和63年9月2日生まれの36歳。岩手県立不来方高校を卒業し、神職を目指すため國學院大學神道文化学部に入学、平成23年より神奈川県藤沢市の江島神社に奉職し、平成28年神社境内の移転事業を進めるため帰郷。志賀理和氣神社禰宜を拝命。令和3年12月に宮司の職を先代より引き継ぎ、本殿遷座祭より宮司として奉仕。
鎮守の杜の守り人 髙橋知明(たかはしともあき)
瀬田玉川神社禰宜。昭和50年、岩手県陸前高田市生まれ。國學院大學卒業後、神社本庁に奉職。東日本大震災を契機に退職し、植樹活動を通して東北復興に尽力。津波で沿岸部にあった多くの松林が流出した一方で、神社を囲む「鎮守の杜」は流されずに多くの家屋や家財を守った事例から、沿岸部に「鎮守の杜をモデルとした森の防潮堤」を作る活動に邁進し、5年間で約40万本の苗木を多くのボランティアの皆さまと共に植樹した。現在、東京・世田谷区の瀬田玉川神社に禰宜として、神明奉仕する傍ら、一般社団法人「第二のふるさと創生協会」代表理事を務める。各地のお祭り支援と植樹活動を二本柱に、地域社会の持続へ向けた活動を展開している。
林学博士 西野文貴(にしの ふみたか)
昭和62年大分県別府市生まれ。東京農業大学森林総合科学科卒業後、同大学で林学博士取得。全国1000箇所以上の植生調査、鎮守の森のプロジェクト技術部会員、今までに経団連自然保護協会環境教育講師、明治神宮の森にて講演。ヨルダン、インド、中国で森づくりを展開中。日本緑化工学会受賞歴あり。父親は植物社会学に基づく苗木生産会社(株式会社グリーンエルム)の創設者。子供時代から自然に興味を持ち、世界中の森づくりに尽力。東京の瀬田玉川神社で年に一度、小学生向け植物授業を実施。
その他プロジェクト補佐
キュレーター兼文章執筆 峯山政宏
アドバイザー 宮澤伸幸(一般社団法人日本文化伝承協会専務理事)
メディア協力 神社マニア
メディア協力 ワクセル(主宰:嶋村吉洋)




クラウドファンディングの応援方法について
この鎮守の杜再建に向けて必要な費用をクラウドファンディングで集めさせていただくことになりました。その費用は皆様からページ横(スマホではページ下)に掲載されている返礼品(リターン商品)をご購入いただくことで、システム手数料を差し引いた残りの金額をプロジェクトの活動費用として充当させていただきます。
今回のクラウドファンディングではたくさんの返礼品(リターン商品)を準備させていただきました。その中でもお勧めのものを厳選してご紹介させていただきますので、ぜひご覧になってください。返礼品の中には数に限りがあるものも多くございますので、在庫数なども確認しながら、ぜひご検討をお願いします。リターンが特に不要という方はお賽銭コースよりご選択ください。
クラウドファンディング実施期間と資金計画について
本プロジェクトは 3カ年(2024–2026)の連続植樹計画 の第2期にあたり
◉ 必要資金の第一弾は 2025年6月15日の植樹イベント時に即時使用
◉ 受付自体は 2025年7月31日まで継続 いたします。
これは、6月に確実に苗木を植えつつ、7月以降に必要となる 育樹・保守管理費 および、第3期(2026年)準備金を同時に確保するためです。
6月中に集まったご支援は苗木購入・植栽・土壌改良へ優先的に充当し、
7月末までに追加で集まったご支援は ①苗木のアフターケア/②草刈り・追肥/③来期苗木手配費 へ充当します。「千年を守る森」を絶やさぬよう、期間を跨いだご協力をどうぞお願いいたします。
資金の具体的な用途と内訳
第二期で皆さまからの温かいご支援は、下記のとおり 森づくりに直結する費用を最優先 に充当し、残額で広報・事務経費を賄います(CAMPFIRE手数料含む)。
【志賀理和氣神社「鎮守の杜」森づくり費用 】資金使途内訳
森づくり費:約. 150万円
人 件 費:約. 30万円
交 通 費:約. 10万円
広 報 費:約. 20万円
返礼品制作費:約. 10万円
返礼品送料・事務経費・余剰金:約. 13万円
CAMPFIRE手数料(17%+税):約. 17万円(第一次目標金額100万円に対して)
概算見積もり金額:合計. 250万円。
目標金額に満たない場合でも All-in 方式でプロジェクトは実行 し、差額は主催者負担で補填いたしますのでご安心ください。
<長期ビジョンと第3期以降の展望>
・2024年6月30日(第1期)/植樹イベント:第一区画の植樹完了(実施済み)
・2025年6月15日(第2期):再び400本を植樹し、計800本へ
・2026年6月末(第3期):最終400本を植樹し、合計1200本の森 が完成
・完成後は地域小学校や町内会と連携し、自然観察・環境学習のフィールド として持続活用
千年先まで続く“鎮守の杜”を絶やさぬため、どうか 6月の即時支援 + 7月末までの継続支援 の二段階で、ともに森の未来を育ててください。
全3期を通じて完成した鎮守の杜を、今度は私たち自身が責任を持って『次の世代』へ受け継ぐ。そんな長いスパンでの挑戦に、引き続きご参加いただければ幸いです。
皆さまのご参加を心よりお待ちしております。
ご支援の方法とプロセス
各種リターンをご購入いただく資金が本プロジェクトための支援金となります。本プロジェクトに共感いただけましたら、ぜひ6月に開催される植樹イベントなどで現地にお越しください。遠方にお住まいでなかなか現地に来れない方も、リターンの購入で応援いただければ本当に嬉しく思います。
ただ、今回のクラウドファンディングで目標金額に満たない場合でも残りの金額は私たちが全額負担してプロジェクト資金を準備しますのでその点はご安心ください。新境内に新しく千年続く「鎮守の杜」を再建するために、ご支援を何卒宜しくお願い致します。

最後に〜田村宮司から皆様へ〜
志賀理和氣神社の植樹にご興味を持って下さりありがとうございます。当神社は令和6年に御鎮座1220年を迎えた県内随一の古社であります。
移転前の境内を思い返しますと、社殿や生活をしていた社務所もさることながら、一番に浮かんでくるのは森と豊かな自然の情景です。北上川の川辺に在り、木漏れ日の降りそそぐ苔むした境内に、トンボが飛び交い、蝉しぐれがひびき渡る情緒は当たり前にあるものだと思っていました。
フクロウや鷹、狐やタヌキ、青々とした森の木々だけでなく多くの命の循環があり、四季の営みと神様のお祭りが渾然一体となって存在していました。

しかし、昨今の異常気象により北上川は時に猛威を振るい、幾度となく川があふれ、地域住民の生活を脅かす状況となり、人命まで失われる事態となってしまいました。神社として、旧境内を離れることは非常に辛いことではありましたが、氏子地域を始め人々の平安を第一にするべきとの判断に至りました。境内の移転により、社殿や社務所が建て替えられ、神社として必要な建物はある程度賄う事が出来ましたが、未だ森づくりまで手が及ばず、非常に寂しく、また、受け継がれてきた歴史も感じることが難しい状況にあります。
そのことを憂いている中、このような機会に恵まれ、まずは、皆様に当神社の事を知っていただけたことに心より感謝を申し上げます。
参道には樹齢700年、町指定の天然記念物「南面の桜」という恋の伝説の残る桜がございますが、これから我々が植える木々も、私たちの死後もこの地に在り続け、多くの命を育みます。そして、その歴史の中には思いもしないような物語も生まれるかもしれません。
この地で、これからの千年を守る森を皆様と共に育てていきたいと存じます。
是非とも皆様にご理解いただき、四季のある、緑と生命に満ちた森づくりにご協力をお願いしたく存じます。
〜プロジェクト実行者からから皆様へ〜
この度は、志賀理和氣神社の鎮守の杜づくりクラウドファンディングにご興味を持っていただき、厚く御礼申し上げます。
全国には神社が約78,000社ありますが、実は志賀理和氣神社だけでなく、多くの神社が、護持継承していくために経済的困難を抱えています。その最も大きい要因は、地域の著しい人口減少です。今までは、各々の地域で支えながら、守り伝えてきた神社と鎮守の杜ですが、人という基盤を失うことでそれが叶わなくなる危機に瀕しています。その影響から、あと10数年で、約78,000社の神社のうち、約4割が消滅してしまうと専門家は言います。
各々の地域の貴重な伝統文化や伝統芸能などの歴史を紡ぎ、祭りが行われてきた神社という”心の拠り所”が、これからたくさん失われます。全ての神社を守ることは出来ないかもしれませんが、1社でも多くの神社を、貴重な地域の財産を守るためには、地域外からの人々の支援と交流が必要です。
第二のふるさと創生協会は、そのために立ち上がりました。「祭りと植樹のお手伝い」から、地域外の人々にとっては”もう一つの心の故郷”が生まれること、地域の人々にとっては新たな仲間が増えることを推進しています。どうか皆さまには、志賀理和氣神社の鎮守の杜づくりへのご支援とともに、ぜひ植樹祭へご参加いただき、志賀理和氣神社を特別に好きになって、紫波町の魅力にもたくさん触れていただきたいと思っています。
皆さまの心が、その地域の“心の拠り所”を守ります。その心とは「和の心」。
ぜひ本クラウドファンディングをきっかけに「和の心」を持った仲間が集い、志賀理和氣神社をはじめ、私たちのアイデンティティである多くの神社が守られ、未来の世代へ伝えられることを願っています。皆さまの温かいご支援ご協力を、重ねてお願い申し上げます。
一般社団法人第二のふるさと創生協会代表理事 髙橋知明

<ご留意事項>
⚪︎「鎮守の杜」建設の進捗につきましては、新着情報などで随時ご報告させていただきます。
⚪︎返礼品の各種企画について、社会情勢の変化等により、中止・延期・内容の変更等が生じる可能性がございます。万が一中止・延期・内容変更となった場合も、いただいたご支援金は返金いたしかねますので予めご了承ください。
⚪︎本プロジェクトのリターンのうち、【お名前掲載】に関するギフトの条件詳細については、こちらのページの「命名権、メッセージの掲載その他これに類するリターン」をご確認ください。
⚪︎目標金額達成後の返金・キャンセル等は一切できませんので、ご承知の上ご支援ください。
⚪︎支援完了時に「応援コメント」としていただいたメッセージは、本プロジェクトの新着情報やSNS等発信などに利用させていただく場合があります。
ーーーー
一般社団法人第二のふるさと創生協会は非営利法人ですが、このクラウドファンディングを支援することで、個人の支援者が寄付金控除を受けることはありません。
ーーーー
<よくある質問と回答>
Q:クラウドファンディングの支払いはどのような方法がありますか?
A:クレジットカード払い(VISA,JCB,MASTER,AMEX,Dinners)、コンビニ支払い、銀行振込(Payeasy)、携帯キャリア決済(docomo、au、ソフトバンク)、楽天Payが御座います。デビットカードはサポート外となります。
Q:クレジットカードは分割での支払いは可能ですか?
A:CAMPFIREのシステム上、分割払いはできませんので分割をご希望の場合は支援後にカード会社様へお問い合わせをお願いいたします。
Q:コースを間違って買ってしまいました、気が変わってしまいました、キャンセル出来ますか?
A:サイトの仕様上、支援後のキャンセルやプランの変更はできません、よくご検討の上でのご購入をお勧め致します。また支援金に金額を上乗せをすることによるアップデートも不可となっております。(例:3,000円コースに7,000円を上乗せ支援しても受け取れるのは3,000円コースのリターンです。)
Q:どうやったら支援出来るんですか?
A:ご希望されるリターンをお選び頂き、決済をお願いします。詳しい手順に関してはこちらのCAMPFIRE様のヘルプページをご確認ください。CAMPFIREのシステム的な仕様などに関わる部分はこちらではお受けしておりませんので、CAMPFIRE様へお問い合わせをお願いいたします。
Q:複数のリターンに申し込みたい、もしくは同じリターンを複数買いたいのですが可能でしょうか?
A:両方とも可能です。クレジットカード支援の場合は複数のリターンのご購入や数量を指定しての購入が可能です。ご支援時に数量と各種リターンを選択する事が出来ます。ただし限定数のあるリターンに関してのみ、その都度個別でお申し込みとなります。また申し込み後のコース変更やキャンセルはお受け出来兼ねますのでご注意ください。申し込み時にCAMPFIREシステム利用手数料がかかりますのでご了承ください。
Q:目標金額に達成したら受付は終了するのでしょうか?
A:目標達成後も受付終了日まではご支援頂けます。
Q:目標金額に達しなかった場合はどうなるんでしょうか?
A:All-in方式を採用しておりますので目標金額に満たない場合も、本プロジェクトを実行しリターンをお届けいたします。
Q:支払い期限はありますか?
A:決済方法によって異なります。コンビニ、銀行振込の場合は基本的に支援日より4日以内の支払い日です。詳細な期限に関しては支援後CAMPFIREより送付されるメールに記載されておりますのでご確認下さい。支払い期限を超過した場合自動的にキャンセルとなります、キャンセルになった在庫は決済が出来ませんので、購入される場合は再支援をお願い致します。クレジットカード、各種携帯キャリア払い、PayPalに関しては支援者様のご契約内容により締め日が異なりますのでご自身でご確認頂きます様お願い致します。
Q:このプロジェクトに関する問い合わせ先を教えてください。
A:『メッセージで意見や質問を送る』からお問い合わせいただきますようお願いいたします。(CAMPFIREのアカウントが必要です)SNSに対してのリプライ等ではお答えできない可能性がございます。
Q:支援後の連絡等はどこで行われますか?
A:CAMPFIREのメッセージ、もしくはメールにてのやりとりとなります。プロジェクト期間内も新情報などアップデートする場合もありますので、ドメイン『@camp-fire.jp』を必ず受信可能な状態にしておいてください。
その他、クラウドファンディングに関わるご質問につきましては、CAMPFIREヘルプページをご覧ください。
最新の活動報告
もっと見る
森から海へ
2026/05/21 19:00志賀理和氣神社鎮守の杜再生にご支援ご協力を賜り、厚く御礼申し上げます。本日は雨に恵まれました。木はもちろんの事、我々人間も水なしでは生きていくことができません。水は山から川を通って海に流れていきます。その中で、地中の養分を運びます。豊かな土壌から流れる水は豊かな海を育てるのです。古くから、漁業に携わる方々は、目に見えなくともそのことを感じ取り、山を崇め、山林を大切にしてきたのです。我々の進めるこの森づくりは、神社にとって良い未来をもたらしてくれます。そして、願わくば、地域や世界にとって少しでも良い未来のためになれば幸いに思っています。そのためには、森を守り育てていく活動も大切になってきます。森の手入れに入ると、地面に近い雑草だけでなく、木々に絡まるツタも多く生えています。このツタを丁寧に取り除いてやることで、木々は大きく育っていきます。取り除いたツタや雑草は、地面に敷き均し、マルチングの代わりや、養分となって森の一部になっていきます。すべてが森になっていくのです。皆様のご支援も、植樹を終えた後も森の為に役立てられ、将来の鎮守の杜を育てていきます。どうか、引き続き当神社の鎮守の杜再生、そして、将来の森づくりのためにご支援ご協力をお願い致します。志賀理和氣神社宮司 田村寛仁【第3期】志賀理和氣神社鎮守の杜再生クラウドファンディングhttps://camp-fire.jp/projects/930734/viewお気に入り登録もお願いします!佐々木優太さんの「神社ソムリエのあやかりチャンネル」に出演させていただきましたアーカイブ配信中です!https://www.youtube.com/watch?v=OD2wYnGYeKs&t=675s是非ご視聴ください! もっと見る
森の実り
2026/05/20 19:00志賀理和氣神社鎮守の杜再生にご支援ご協力を賜り、誠にありがとうございます。本日も全国的に暑い日でした。木々は暑さに負けずに青々としておりました。注意深く見てみると、山桑に実がついていました。今年もたくさんの実がつきそうです。桑の実は甘酸っぱく、少し年齢の高い方々からは、子供のころの格好のおやつだったと伺ったことがあります。熟して食べごろになると、鳥たちもついばみにきて、森がにぎわいます。今年は神社でも桑の実を採種して蒔いてみようと思います。私共が把握しているだけでも、ヤマグワ、アカメガシワの二種は種を蒔わしています。あんなにか細かった苗木が、成長した姿に、胸が熱くなり、森が豊かになることにさらなる期待を持っています。種から芽吹いた芽を育てる為にも、しっかりと森の手入れを行って参ります。皆様からのご支援は、植樹の後、森の手入れの費用として、森づくりに役立てて参ります。今後とも、ご支援ご協力をお願い申し上げます。志賀理和氣神社宮司 田村寛仁【第3期】志賀理和氣神社鎮守の杜再生クラウドファンディングhttps://camp-fire.jp/projects/930734/viewお気に入り登録もお願いします!佐々木優太さんの「神社ソムリエのあやかりチャンネル」に出演させていただきましたアーカイブ配信中です!https://www.youtube.com/watch?v=OD2wYnGYeKs&t=675s是非ご視聴ください! もっと見る
千年前、千年後
2026/05/19 19:00志賀理和氣神社鎮守の杜再生にご支援ご協力を賜り、衷心より厚く御礼申し上げます。目標の達成後も多くの方々にご支援を頂いておりますことに、重ねて深謝申し上げます。クラウドファンディングページにも記載しておりますが、旧境内鎮守の杜は千年の歴史を歩んだ森でした。千年前といいますと平安時代中期で、枕草子や源氏物語が記されたり、平安文化が花開いていたころです。自分たちの住んでいる地域の千年前なんて想像もつきません。しかし、確かに誰かが祈りを捧げ、生活が営まれ、今に繋がっているのです。杉はこの地に自生する樹種ではなく、旧境内の御神木「千年杉」は誰かが植えた木だという事を知り、改めて鎮守の杜が、祈りの込められた愛おしい存在であることを感じました。そして、この森づくりにより、志賀理和氣神社の鎮守の杜を通じて、我々が千年先に生きる子孫たちに想像される側になるのです。あるいは、自然の森と思われるほどに豊かな鎮守の杜となっているのやもしれません。いずれに致しましても、まさに歴史の境目となるこの時を皆様と共に迎えることができ、誠にありがたく、嬉しく存じます。植樹する森を、真心を尽くして育て、千年先に豊かな森として残すべく、精一杯努めて参りますので、今後ともお心よせくださいます様お願い申し上げます。志賀理和氣神社宮司 田村寛仁【第3期】志賀理和氣神社鎮守の杜再生クラウドファンディングhttps://camp-fire.jp/projects/930734/viewお気に入り登録もお願いします!佐々木優太さんの「神社ソムリエのあやかりチャンネル」に出演させていただきましたアーカイブ配信中です!https://www.youtube.com/watch?v=OD2wYnGYeKs&t=675s是非ご視聴ください! もっと見る






コメント
もっと見る